In der Zeit vom 26.02.2026 – 02.04.2026 führt der Wasser- und Bodenverband „Untere Warnow-Küste“ die diesjährige Gewässerschau durch.
Die Schauen sind öffentlich. Jeder kann daran teilnehmen, Fragen stellen oder Anregungen geben. Es werden die Anlagen und der Zustand der Gewässer besichtigt sowie kurz- und langfristige Unterhaltungsmaßnahmen besprochen.
Am Montag den 02.03. werden die Gewässer in der Südstadt, Stadtmitte, Biestow, Kritzmow usw. begutachtet. Treffpunkt ist um 8:00 Uhr an der Biestower Kirche. Wie in den vergangenen Jahren wird sicherlich auch in diesem Jahr der beklagenswerte Zustand des Biestower Dorfteichs wieder ein Thema sein.
Der Dorfteich ist schon seit langer Zeit immer wieder ein Tagesordnungspunkt in der Ortsbeiratssitzungen. Anfangs war man mehr um die Gestaltung der Grünanlagen und die Umsetzung der Ortsgestaltungskonzeption bemüht und im Jahr 2012 war man sogar besorgt, dass der Teich „überlaufen“ könnte. Auch im Jahr 2018 war der Füllstand im Teich noch relativ hoch (im Vergleich zum Herrnteich). Spätestens seit Mitte 2020 ist jedoch der geringe Wasserstand im Dorfteich und die zunehmende Verschilfung ein Thema in den Ortsbeiratssitzungen. Eine vollständige Zusammenstellung aus den Sitzungsniederschriften seit 2010 finden Sie hier.
Nachfolgend eine Übersicht der wichtigsten Aussagen aus den Sitzungsprotokollen der letzten Jahre mit Angabe des Sitzungstermins:
18.06.2020: Herr Müller vom Verein Leben in Biestow e.V. sorgt sich um den Wasserstand des Dorfteiches.
21.09.2022: Herr Tietjen weist außerdem auf die Lage am Dorfteich Biestow hin. Der Pegel des Teichs ist weiter verringert und der Bewuchs hat stark zugenommen. Er wünscht sich schnelle Maßnahmen zur Entkrautung.
15.03.2023: Frau Scheffler berichtet von der Stellungnahme des Amtes für Umwelt und Klimaschutz zum Wasserstand des Dorfteiches Biestow. Dies resultiert aus den derzeit niedrigen Wasserständen. Ein Entgegenwirken ist nicht möglich, da dies wieder versickern würde.
16.08.2023: Herr Millahn teilt mit, dass das hydrolog. Fachbeitrag von WASTRA-Plan [zum neuen „Wohngebiet Nobelstraße“] noch aussteht. Ein Anwohner bittet zu prüfen, ob nicht der Herrenteich und der Dorfteich aus den Regenmengen gespeist werden können. Frau Krüger bittet ebenfalls um Prüfung, ob Regenwasser in den Dorfteich und /oder in die nahegelegenen Sölle im Wohnpark geleitet werden kann.
14.11.2023: Herr Kunze möchte das Amt für Umwelt und Klimaschutz, Abt. Wasser und Boden zur kommenden Ortsbeiratssitzung einladen. Es soll um die Verschilfung des Dorfteiches und Am Soll gehen.
[Eine Mitarbeiterin des Umweltamts war tatsächlich erst im April 2024 und dann im März 2025 zugegen, allerdings wegen eines anderen Sachverhalts. Ansonsten hat sich bis heute niemand im Ortsbeirat blicken lassen.]
20.05.2025: Frau Jens informiert: Am Biestower Dorfteich wurde das Schilf geschnitten. Frau Jens konnte in Erfahrung bringen, dass ein Schnitt unterhalb der Wasserlinie dazu führen würde, das Schilfwachstum zu stoppen. Es wurde jedoch oberhalb der Wasserlinie geschnitten, daher erholt sich das Schilf bereits wieder und breitet sich weiter aus.
17.06.2025: Frau Steinhorst berichtet über folgende offenen Punkte: Ausbreitung Schilf – Der Dorfteich müsste für eine Verbesserung des Schilfes ausgebaggert werden. Laut Auskunft des Amtes für Umwelt und Klimaschutz wird dies zu einer weiteren Absenkung des Wasserstandes führen. Höchstwahrscheinlich haben Privatpersonen selbstständig Schilf beschnitten.
16.09.2025: Frau Jens informiert über ein Schreiben des Amtes für Stadtgrün, Naturschutz und Landschaftspflege zum Rückschnitt des Schilfes im Dorfteich. Helfen würde nur eine Entschlammung des Gewässers, die auch zeitnah, je nach Haushaltslage, durch das Umweltamt durchgeführt wird. [Eigentlich wäre doch das Umweltamt für diese Stellungnahme zuständig gewesen?]
Passiert ist bis heute nichts. Die letzte Auskunft vom September 2025 könnte bedeuten, dass in absehbarer Zeit am Biestower Dorfteich überhaupt nichts mehr geschieht. „Zeitnah“ kann auch einen Zeitraum von mehreren Jahren umfassen und die „Haushaltslage“ gibt sowieso nichts her. Laut Haushaltsplan 2026/2027, dort die Gesamtübersicht „Investitionsprogramm nach Ortsteilen“, sind für Biestow in 2026 Ausgaben in Höhe von 25.000 € geplant. Die werden aber an der Lärmschutzwand Nobelstraße verbaut. Weiteres Geld ist erst ab 2028 verfügbar, und zwar für den „Binnenhochwasserschutz – Groß Biestow“ (betrifft wahrscheinlich die teilweise Entrohrung des Kringelgrabens).
Bis dahin wird sich der Dorfteich wohl so ähnlich weiterentwickeln, wie das Soll am Weidengrund: Irgendwann ist alles verschilft und verkrautet, das Wasser ist weg und das Problem hat sich erledigt.
Auch im „Südstern“ wurden vier Beiträge zum Thema veröffentlicht. In der Ausgabe 47 hat Frau Miriam Schröter vom Umweltamt sehr richtig erkannt: „Das Problem ist der vorhandene Wassermangel. Es wird vielmehr geprüft, ob es sinnvoll ist, in Abstimmung mit der Unteren Naturschutzbehörde Pflanzen zu entnehmen oder zusätzliches Niederschlagswasser, das derzeit in die Kanalisation gelangt, den Teichen zuzuleiten.“ In der Ausgabe 50 fragt der „Südstern“ nach, was die Prüfung ergeben hat. Das Umweltamt teilt mit, dass die Prüfung erst im Frühjahr 2025 stattfinden wird. Danach wurden im „Südstern“ keine Beiträge mit Erkenntnisgewinn (bis auf die Aussagen des Grünamts vom 16.09.2025) mehr veröffentlicht.
Als Außenstehender gewinnt man den Eindruck, dass in den Fachämtern (Grünamt, Umweltamt, Amt für Denkmalpflege) das Problem seit Jahren nur weitergeschoben wird, ohne an einer nachhaltigen Lösung zu arbeiten.
Z. B. hatte der Ortsbeirat Biestow am 16.08.2023 im Zusammenhang mit der Planung des neuen „Wohngebiet Nobelstraße“ angeregt, einen Teil des Oberflächenwassers vom neuen Wohngebiet in den Dorfteich abzuleiten. Laut aktueller Begründung zum Bebauungsplan, S. 28f, soll die gesamte Regenentwässerung jedoch in den Rote-Burg-Graben erfolgen. In einer Bestandsanalyse im zugehörigen hydrologischen Fachbeitrag wird auf Blatt 22 dargestellt, dass derzeit im Nordwesten des Plangebiets eine Fläche von knapp 4 ha „über RW-Kanäle in den Dorfteich von Biestow in nordwestliche Richtung entwässert“. Wenn dort tatsächlich bereits Regenwasserkanäle liegen, ist es nicht nachvollziehbar, dass das Regenwasser in Zukunft nach Osten abgeleitet werden soll. Da auch das Umweltamt eine Stellungnahme zum Entwurf des B-Plans abgegeben hat, sollte man dort die Begründung zum B-Plan und dieses Gutachten ebenfalls gelesen haben. Hier wäre eine sofortige Abstimmung zwischen Umweltamt und Planungsbüro notwendig!
Die fortschreitende Verschlechterung des Zustandes des Biestower Dorfteichs und das langsame Verschwinden kann man auch anhand historischer Karten und Fotos und aus Luftbildaufnahmen gut nachvollziehen:
Im Jahr 1778 war im Rahmen der sogenannten „Directorial-Vermessung“ die Wasserfläche des Dorfteichs (Kartennummer 50) mit einer Größe von 232 Quadrat-Ruten vermessen worden. Das entspricht einer Ausdehnung von über 5.000 m²! (Umrechnung: 1 Quadrat-Rute = 21,679 m²)

Auszug aus dem „Plan von dem Bauer-Dorffe Bistow – auf Verordnung gemeinschaftl. Directorial-Commission gemessen anno 1778 durch Francke„
Quelle: Landesarchiv Schwerin, Karten von ländlichen Gemarkungen
Nördlich des Dorfteichs erkennt man das große Gehöft von Bauer Kempe mit zwei giebelständig zum Dorfteich ausgerichteten Scheunen und dem zurückgesetzten Wohnhaus, nördlich des Kirchhofs befindet sich links der Hof von Bauer Krempien und rechts daneben das Kruggehöft von Schulze Beese (wo heute das Restaurant „Zum Bauernhaus“ steht), beim Pfarrgehöft ist hinter der Pfarrscheune noch der alte Pfarrstall zu erkennen und am Nordwestende des Kirchhofs, innerhalb des heutigen Gräberfeldes, stand einst das alte Schul- und Küsterhaus (im Jahr 1855 abgebrannt).
Das Gebäude beim heutigen Gefallenendenkmal ist vermutlich ein gemeinschaftliches Backhaus oder die öffentliche Grützquerre der beiden Kossaten Franz Mahn und Stoll.
In der Mitte des 19. Jahrhunderts wurde in Biestow eine Feldregulierung durchgeführt und dazu die gesamte Feldmark neu vermessen. In der damals erstellten Katasterkarte („Hufenkarte“) ist für den Dorfteich (Kartennummer 456) eine Wasserfläche von 221 Quadrat-Ruten angegeben. Das sind immer noch knapp 4.800 m²!

Auszug aus der „Charte von der Dorffeldmark Biestow – Amts Toitenwinkel zu Rostock – Vermessen und regulirt im Jahre 1852 von E. Krüger, Cammer-Ingenieur“ (hier eine Abzeichnung aus dem Jahr 1879 – mit eigener Ergänzung: farbliche Hervorhebung der Wasserflächen).
Quelle: Landesarchiv Schwerin, Karten von ländlichen Gemarkungen
Die Katasterkarten unterlagen als Gebrauchskarten natürlich Veränderungen. Der Ausschnitt zeigt den Bearbeitungsstand von ungefähr 1906 (erkennbar u. a. an den nicht mehr vorhandenen alten Gebäuden der Büdnerei Nr. III von Bauer Harms an der Ecke Sildemower Weg / Am Dorfteich). Der Gebäudebestand des Pfarrgehöfts ist noch vollständig vorhanden mit Pfarrscheune, Pfarrstall, Pfarrhaus, Pfarrschweinestall und Predigerwitwenhaus.
Der Dorfeich hatte Zuläufe von Südwesten, vom Gehöft der Erbpachthufe Nr. VI kommend (früher Bauer Heidenreich – wahrscheinlich wurde die südliche Straßenentwässerung dort durchgeleitet), von Südosten aus den Entwässungsgräben der südöstlich gelegenen Ackerflächen und von Nordosten vom Sildemower Weg, neben dem kleinen Spritzenhaus (nach 1996 abgerissen). Der daneben stehende Armenkaten der Gemeinde (2010 abgerissen) wurde damals von den Familien Gerds und Oldag bewohnt. An der Südostecke des Dorfteichs hatte Peter Wollenberg in der neu errichteten Büdnerei Nr. X (2012 abgerissen) eine „Schenkwirtschaft“ eingerichtet. Dort konnte man die Pferde ausspannen und im Garten am Teich ein Bier genießen.
An der Nordwestecke des Dorfteichs war ein Überlauf in den straßenbegleitenden offenen Graben am Biestower Damm bis hinunter zum Kringelgraben (der östlich von Biestow eigentlich Borngraben hieß) und weiter bis zum Pfeifenteich südlich des heutigen Hauptbahnhofs. Von dort wurde schon im 18. Jahrhundert das Wasser durch eine hölzerne Leitung in die Stadt geführt. Auf diese Weise wurde die Rostocker Trinkwasserversorgung zu einem kleinen Teil auch aus dem Biestower Dorfteich gespeist.
Kurz vorher, also ungefähr zwischen 1900 und 1906, wurde dieses schöne Foto aufgenommen:

Abgelichtet von dem Rostocker Fotografen Fritz Blohm.
Quelle: Sammlung Thomas Werner, Rostock
Der Biestower Dorfteich in voller Pracht! Rechts im Hintergrund sind noch die alten Gebäude (Wohnhaus und Scheune) von Büdner Harms zu erkennen, daneben steht das westliche Stallgebäude der Erbpachthufe Nr. V, Erbpächter Kempe, dazwischen lugt das Strohdach der Büdnerei Nr. II von Büdner Gildemeister hervor und die Kirche hat noch ihren kleinen hölzernen Turm.
Im Norden reicht die Wasserfläche fast bis zum Sildemower Weg, im Westen läge die heutige Sitzgruppe bereits im Wasser und die hohen Pappeln im Süden drängeln sich auf einem schmalen Streifen zwischen Teich und Weg.
Die Dorfjugend hatte sicherlich sommers wie winters viel Spaß mit diesem Teich.
Ein weiteres Foto zeigt einen Blick von Süd nach Nord über den Teich auf das große Erbpachtgehöft der Familie Kempe. Hier hat der Dorfteich einen etwas niedrigeren Wasserstand, ist aber immer noch deutlich höher als heute:

Foto Hof Kempe – unbekannter Fotograf.
Quelle: Privatsammlung von Frau E. Welbers, Kevelaer, einer Urenkelin des letzten Erbpächters. Die Sammlung mit Fotos und alten Dokumenten (teilweise von 1632) wurde am 2. Mai 2022 an das Kulturhistorische Museum in Rostock übergeben.
Das Foto muss nach 1918 aufgenommem worden sein, da Biestow in diesem Jahr an die Elektrizitätsversorgung angeschlossen wurde und die beiden Masten am Ufer vermutlich für die Stromleitung aufgestellt wurden.
Der Kempesche Hof war immer schon ein beliebtes Fotomotiv. Unter anderem hat der bekannte Rostocker Fotograf Karl Eschenburg hier einiges Filmmaterial belichtet.
Die Hofanlage und einzelne Gebäude wurden auch in Fachpublikationen behandelt (z. B. in dem Buch „Haus und Hof deutscher Bauern“, Folkers, 1961, oder in der Dissertation „Zimmermannswerk in Mecklenburg – Die Scheune“, Dr. Karl Baumgarten, 1960).
Die Familie Kempe bewirtschaftete diesen Hof nachweislich bereits seit 1606. Der zweitälteste Grabstein im Mittelgang der Biestower Kirche ist der Deckstein des Kempeschen Erbbegräbnisses von 1610. Nachdem der letzte Erbpächter Hans Heinrich Kempe im November 1912 mit 81 Jahren und ohne Hinterlassung eines Testaments verstorben war, kam es zu Erbstreitereien zwischen der Witwe und den beiden Söhnen. Um die Söhne auszahlen zu können, wurde am 7. September 1914 zuerst das gesamte lebende und tote Inventar versteigert (s. Krausesche Fundchronik, Seite 55 / Blatt 43) und später die gesamte Hofstelle mitsamt den Ackerflächen an die Stadt Rostock verkauft. Bereits im Jahr 1938 wurden Hof und Acker nach Rostock eingegliedert. Die Anwohner mit den Adressen Am Dorfteich 2a bis 5 sind also eigentlich „Städter“.
Laut einem Zeitungsartikel soll das linke Stallgebäude im Jahr 1946 abgerissen worden sein (ist im Luftbild von 1953 auch nicht mehr zu erkennen) und das Wohnhaus im Jahr 1954. Die Scheune rechts (in der genannten Dissertation behandelt) soll in den 1950er und 1960er Jahren so weit in Verfall geraten sein, dass die Ruine schließlich entfernt wurde. Übriggeblieben waren am Ende nur noch die beiden Torpfosten in der Bildmitte. Die standen da auch noch bis zum Herbst 2025 – ehe sie einer „Verschönerungsplanung“ der Außenanlagen des dort neu errichteten Wohnhauses zum Opfer gefallen sind (obwohl der ursprüngliche Verkäufer des Grundstücks ausdrücklich vertraglich vereinbart hatte, dass diese Pfosten aufgearbeitet und erhalten werden sollten).
Nun ist auch das letzte Zeugnis einer jahrhundertealten Familiengeschichte und des bäuerlichen Lebens an dieser Stelle verschwunden.
Ein drittes Foto zeigt den Blick von West nach Ost über den gut gefüllten Dorfteich:

Foto Wohnhaus Breutzmann und Büdnerei Nr. X – unbekannter Fotograf
Quelle: Privatsammlung von Hr. A. Harms, ehem. Büdnerei Nr. III in Biestow.
Das Foto wurde vermutlich in den 1960er-Jahren aufgenommen. Der Standort des Fotografen muss kurz hinter der heutigen Bushaltestelle bei der Kirche gewesen sein.
Auf der gegenüberliegenden Seite des Teichs steht das auf Gemeindeland neu erbaute Wohnhaus der Familie Breutzmann (heute Am Dorfteich 8). Opa Breutzmann war vor allem bei den Kindern sehr beliebt, wegen der Bonbons, die er immer dabei hatte.
Rechts daneben bewirtschaftete inzwischen „Sniedermeister Wagner sien ‚Strandhotel‘ an’n Dörpdiek“ – wie sich mal die in Biestow ansässige Mundartautorin Lisa Milbret in einem Beitrag für die OZ ausgedrückt hat. Dort konnte man auch Lebensmittel einkaufen.
Links im Vordergrund des Fotos sieht man, dass die Biestower Hühner immer schon ein sehr befreites Leben hatten.
Die damalige Ausdehnung der Wasserfläche ist auch in einer Luftbildaufnahme aus dem Jahr 1953 noch sehr gut zu erkennen:

Digitales Orthophoto (DOP) auf der Grundlage der Luftbilder einer Befliegung im Jahr 1953 mit einer Bodenauflösung von 0,8 m – mit eigenen Ergänzungen: Text und Uferlinie.
Quelle: Landesamt für innere Verwaltung MV, Amt für Geoinformation, Vermessungs- und Katasterwesen © GeoBasis-DE/M-V 2026
Vieles von dem alten Gebäudebestand ist noch vorhanden (auch auf der Hofstelle der ehem. Erbpachthufe Nr. VI), die Wege sind noch nicht befestigt und die aus dem Orthophoto digitalisierte Wasserfläche ist zwar um 1.000 m² kleiner geworden, hat aber immer noch eine Ausdehnung von 3.800 m².
Auch im Lageplan zur Ortsgestaltungskonzeption ist im Jahr 1982 der Dorfteich noch mit einer Wasserfläche von 3.774 m² dargestellt (aus dem eingepassten Plan digitalisiert).

Zoo-Erlebnisbereich Damerower Weg und Ortslage Biestow – Ortsgestaltungskonzeption – Teil 1 Erholungsplanung – Büro für Stadtplanung Rostock, 29.9.82 – mit eigener Ergänzung: Uferlinie.
Quelle: Archiv „Leben in Biestow“ e. V.
Der Dorfteich (d) sollte als „Dorfteich mit Erholungsfunktion“ gestaltet werden, mit schützenden Hecken zu den angrenzenden Wegen. An vier Stellen sollten Sitzplätze (8) angeordnet werden. Es hat den Anschein, dass am westlichen und am östlichen Ufer auch eine Steganlage für Badende vorgesehen war (wobei die Biestower Jugend gerne auch im Herrnteich herumgeplanscht hat). Als Grundprinzip für die Gestaltung ist im Plan vermerkt: a) Erhaltung der Sölle, Bereinigung Dorfteich, b) Erhaltung jeglichen Großgrüns und c) Erhaltung denkmalgeschützter Bauten.
Im Jahr 1991 wurde durch das Landesvermessungsamt eine Befliegung durchgeführt, damals noch mit Schwarz-Weiß-Fotografie:

Digitales Orthophoto (DOP) aus dem Jahr 1991 mit einer Bodenauflösung von 0,4 m – mit eigener Ergänzung: Uferlinie.
Quelle: Landesamt für innere Verwaltung MV, Amt für Geoinformation, Vermessungs- und Katasterwesen © GeoBasis-DE/M-V 2026
Wie man im Ausschnitt erkennen kann, ist die Wasserfläche des Dorfteichs deutlich geschrumpft. Die Gründe sind nicht so ganz klar. Mit den Klimaveränderungen kann das noch nicht zusammenhängen und Grundwasserabsenkungen wegen Neubautätigkeit kann man auch ausschließen. Möglicherweise wurde aus irgendwelchen Gründen einfach nur das Niveau des Überlaufs so weit abgesenkt, dass der alte Füllstand gar nicht mehr erreicht werden konnte. Die erkennbare Wasserfläche hat jedenfalls nur noch eine Ausdehnung von knapp 2.100 m².
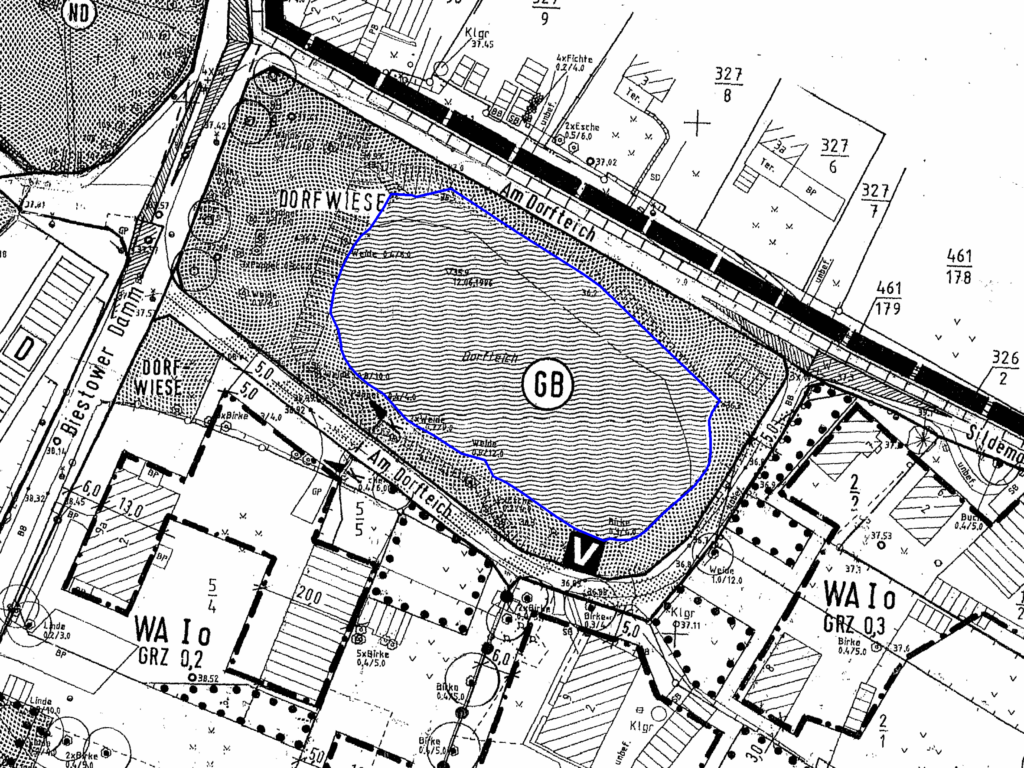
Am 16.04.1996 hat die Bürgerschaft der Hansestadt Rostock beschlossen, für Biestow einen zweiten Bebauungsplan (nach dem Wohnpark) aufzustellen. Der Stadtplaner Dierk Brockmöller hat bei der Entwicklung des Bebauungsplans 09.W.57 „Dorflage Biestow“ versucht, möglichst viel von der alten Ortsgestaltungskonzeption in die neue Planung zu retten.

Bebauungsplan Nr. 09.W.57 „Dorflage Biestow“, Stand 22.03.1999, ausgefertigt am 09.01.2001 – mit eigener Ergänzung: Uferlinie.
Quelle: Portal der Hanse- und Universitätsstadt Rostock – Rechtskräftige Bebauungspläne
In der Begründung zum Bebauungsplan wurde unter Punkt 4.7.1 erläutert: „Der Dorfteich war aufgrund jahrezehntelanger Einbringung von Abwasser aus den anliegenden Grundstücken stark verlandet. Der verwilderte Zustand der Grünflächen war der zentralen-dörfichen Lage nicht angemessen. Aus diesem Grunde wurde der ursprüngliche Zustand des Teiches annähernd rekonstruiert. Die Fläche wurde als „Dorfwiese“ festgesetzt.“
Leider ist die „annähernde Rekonstruktion“ nicht ganz gelungen: Die im Plan dargestellte überflutete Fläche umfasst nur noch etwas mehr als 3.000 m².
Die Kennzeichnung „GB“ bedeutet „Geschützte Biotope nach § 2 1. NatG M-V“. Die Plandarstellung basiert auf einem Stand der Vermessungsarbeiten vom 08.02.1996.
Der Sommer 2011 war in Rostock und Mecklenburg-Vorpommern extrem niederschlagsreich, geprägt von mehreren Starkregenereignissen. Insbesondere Ende Juli und August 2011 führten enorme Regenmengen zu schweren Überschwemmungen. Im Stadtteil Warnemünde fielen am 22. Juli an einem Tag 111,4 Liter Regen pro Quadratmeter. Um die Überflutungen zu dokumentieren, hat die Stadt eine Befliegung veranlasst, die im August und September 2011 durchgeführt wurde:

Luftbild (Digitales Orthophoto) der Hanse- und Universitätsstadt Rostock und Umgebung von August und September 2011 mit einer Bodenauflösung von 0,2 Metern – mit eigener Ergänzung: Uferlinie.
Quelle: OpenData-Portal der Hanse- und Universitätsstadt Rostock – public domain CC0 1.0
Damals führten diese Starkregenereignisse zu einem Wendepunkt in der lokalen Stadtplanung mit Einführung des „Schwammstadt“-Konzepts. Am Biestower Dorfteich waren zum Zeitpunkt der Befliegung die Wassermassen wohl schon wieder in die Kanalisation verschwunden – die aus dem Luftbild digitalisierte Wasserfläche hat nur eine Größe von rund 2.600 m².
Die Stadt Rostock führt ein sogenanntes Bewirtschaftungskataster, in dem die Zuständigkeiten der einzelnen Ämter für die öffentlichen Flächen geregelt sind. Im Geodatenportal der Stadt kann man sich dieses Kataster ansehen:

Die blaue Fläche in der Bildmitte (Wasserfläche des Dorfteichs) liegt im Zuständigkeitsbereich des Amts für Umwelt und Klimaschutz. Laut einer Infobox hat diese Fläche aktuell eine Größe von genau 2.058 m ².
Die letzte amtliche Luftbildaufnahme wurde im Bereich Biestow am 20.08.2024 durchgeführt:

Digitales Orthophoto (DOP) aus dem Jahr 2024 mit einer Bodenauflösung von 0,2 m – nebst eigenen Ergänzungen: Rand- und Uferlinie.
Quelle: Landesamt für innere Verwaltung MV, Amt für Geoinformation, Vermessungs- und Katasterwesen © GeoBasis-DE/M-V 2026
Der Dorfteich mitsamt Schilfgürtel hat eine Ausdehnung von rund 2.200 m² und die freie Wasserfläche von nur noch 600 m².
Der einst große Dorfteich mit 5.000 m“ Wasserfläche ist mittlerweile zu einem kleinen Tümpel verkommen!











